Заметки об исследовании и проектировании умных человекоцентричных систем

Позднее Ctrl + ↑

Прототипируем умные продукты

Последние полгода много работаю с фичами и продуктами на основе машинного обучения. В основном с рекомендательными системами.

С точки зрения продукта, хочется как можно быстрее и дешевле проверить гипотезу без разработки и двигаться дальше.

Для классического софта можно реализовать прототип с заранее заскриптованным сценарием и прогнать его на юзер тестинге.

С рекомендациями так просто не получится. Сам формат фичи подразумевает подстройку под действия конкретного респондента. Заранее прописать прописать все сценарии вряд ли получится (ну может только в очень узкой области, но тогда скорее всего и ML там не нужен, а хватит эвристики).

В Google такие задачи решают так — заменяют ML на человека и симулируют работу системы. Называется этот метод «волшебник их страны Оз». Подход интересный и позволяет проверить гипотезы без привлечения ML инженеров, но сделать такой прототип может оказаться тоже сложной задачей.

Детализированности прототипа с точки зрения UI
Детализированности прототипа с точки зрения данных

По-сути, Google подменяют «дорогую» разработку на дешевую. У них есть команда UX Engineering, которая и делает прототипы, которыми может управлять человек. Думаю, мало у кого есть возможность делать такие прототипы, а ML как-то тестировать же хочется.

Пока мне не попадалось «дешевых» способов тестировать ML без разработки (зато более менее понятно как это делать в проде имея систему для АБ-тестов).

https://design.google/library/simulating-intelligence/

Книга Jobs To Be Done Playbook за авторством Джима Калбаха от 2020 года

Джим объединил все имеющиеся теории по джобам и связал их в стройный фреймворк, который можно использовать в разных бизнес-ситуациях.

За основу автор берет фреймворк Ульвика — Outcome Driven Innovation, который приземляет джобы до конкретных процессов и метрик. Люблю этот подход за то, что в нем есть четкая методология по количественной валидации и приоритезации гипотез.
При этом, Джим Калбах не забывает и про другие интерпретации джобов (например, от Алана Клемента), которые делают фокус на более высоких жизненных целях людей: вдохновлениях, долгосрочных целях и стремлениях.

Каждая джоба, по версии автора — это процесс, который имеет начало, середину и конец. А процесс имеет измеримый критерий успеха. Критерий может быть как объективным, так и субъективным. Главное — это можно измерить. 

Т. к. джоба состоит из шагов, то их также можно представить в виде подджобов / подпроцессов.

Из этого вытекает следущая мысль — джобы можно организовать в иерархию. На высшем уровне находятся те самые «высокие стремления и желания», а чем ниже по лестнице, тем джобы/процессы более прикладные и конкретные.

Важно отменить, что иерархию джобов/процессов предлагают строить на основе «функциональных джобов», т. е. только на основе физических процессов. Автор выделяет и другие виды джобов: эмоциональные и социальные. Они как бы наслаиваются поверх функциональной джобы. Четкого способ организации нефункциональных джобов в книге не предлагается. Да и нужно ли это? По мнению автора, эмоциальные и социальные составляющие нельзя создать без функциональный части. И я разделяю это мнение.


Помню как в 2016 и 2017 годах зарождался хайп на JTBD. Были разные интерпретации и царила путаница. А на просторах Твиттера и Медиума Ульвик воевал с Клементом. А иногда их обоих тролили другие известные личности. Например, Алан Купер со своим Goal-Directed Design. Да и просто многие UX-практики припоминали Task Analysis.

В книге Калбаха соеденино лучшее из всех теорий и практик. Четко и понятно изложены сценарии применения. Приведены примеры использования подхода в разных ситуациях из реальных продуктовых и сервисных компаний: от позиционирования на рынке, до приоритезации беклога, до разработки продуктовой стратегии.
Однозначно, это будет моя референсная книжка по джобам. Работаю я с ними редко, поэтому что-то всегда забывается. Но теперь я знаю, где буду искать ответы.

Главное из книги:
— Джобы существуют независимо от технологий
— Джоба — это процесс, у которого есть понятные шаги и который можно измерить
— Шаги можно представить в виде под-джобов
— Джобы выстраиваются в иерархию
— Социальные и эмоциональные джобы «наслаиваются» поверх «функциональных» джобов

Сам автор в написал чуть более подробную выжимку из книги.


В закаулках блога припрятана подсказка, которая поможет выделить джобы о которых я недавно писал.

Вот, например, пирамида ценностей, которую проработали в 2015 году консультанты из Bain.
Тут удобно расположены ценности по слоям. Нижний слой очень хорошо подходит для генерации возможных ценностей, которые люди смогут получить в вашем продукте.
Подмечу, что функциональные джобы у консалтеров расположены на нижней слое. Они служат основой для более «сложных» эмоциональных и социальных ценностей. Про это и писал Калбах в своей книге.

Предсказуемость и Контроль vs. Открытия и Инновации

Продакт из Amplitude, Джон Катлер, сформулировал мысль о двух разных подходах в метриках и работе с данными.
Его опыт говорит, что компании часто фокусируются на контроле через данные. А это мешает делать инновации.
Нужно достигать баланса и гармонии. Легче сказать, чем сделать 🙂 Но мысль интересная.

Источник: https://www.linkedin.com/posts/johnpcutler_data-management-analytics-activity-6748416353348268032-nDUf

The Entertainment Value Curve

Инструмент для формирования стратегии контентных продуктов от Ravi Mehta (EIR @ Reforge, Former Tinder, Facebook, Tripadvisor)

В статье автор рассуждает почему TikTok выстрелил, а американский сервис для качественных мини-киношек Quibi — нет.

Ravi предлагает следущую формулу:

Развлекательная ценность = Социальная Ценность + Ценность Качества

  1. Социальная Ценность формируется на основе персоналий, которые создают контент. Ценность в самом авторе, его взглядах и мнении. Например, интересно следить за активностью друзей в соц.сетях даже если они постят материалы в плохом качестве.
  2. Ценность Качества напрямую относится к самому контенту: как он снят, каков сюжет, просто ли читать и т. д. Требования к качеству отличаются по жанрам: для ТВ-шоу одни стандарты качестве, для фильмов — другие.

Автор утверждает, что нельзя достичь максимума в обоих ценностях. Преобладать должна либо социальная, либо качественная ценность.

https://www.reforge.com/blog/entertainment-value-curve

Организация знаний

Хороший труд на тему организации знаний от продакта, который делает тул для организации знаний. Разобраны плюсы и минусы у пяти видов структур. Приведены примеры инструментов, которые их поддерживают.

Кратко: знания — это нелинейная структура. Существующий тулинг не может удовлетворить по всем параметрам, но есть надежда, что технологический прогресс поможет :)

Три типа создания инноваций: versioning, visioning, venturing

Кевин Дэйм рассказал о проблеме нехватки времени на продумывание вижена в продуктовых командах YouTube.
Причина — скиллсет команд в Google заточен на итерации и быструю проверку гипотез. Такой подход называется versioning. И он оправдывает себя в приложениях с миллиардами пользователей, где даже мелкие изменения могут дать большой импакт.

Но иногда команде требуется сделать скачок в развитии, но при этом не «замедляться» с точки зрения доставки новых релизов на прод. Нужно проработать долгосрочный видение. Зачастую внутри команды не будет ни нужных компетенций, ни времени.
Здесь на помощь приходит команда Кевина, которая и помогает создать концепт на ближайшие 2-3 года.

Ключевые слайды

Product Visioning at Google — https://www.youtube.com/watch?v=fMCc89kO5BI
The Power of Visioning — https://design.google/library/youtube-visioning/

Кейс: находим драйверы роста в социалке при помощи ML и поднимаем ретеншн

В феврале на Flo Data Meetup я рассказывал про кейс с работы. В нём я применил «классические» методы продуктового анализа и теорию графов.

По итогам ресерча продуктовая команда смогла лучше понять предпочтения пользователей, выделала новый сегмент аудитории, выдвинула несколько успешных гипотез и получила прирост к метрикам.

Доклад изначально готовился для аналитиков, но получил хорошие отзывы от разработчиков, дизайнеров и продакт-менеджеров.

Видео содержит:
— Вводную про продуктовые подходы
— Небольшой обзор на науку Human-Computer Interaction, из которой я люблю брать новые идеи
— Информацию про продукт
— Вопросы на которые стейкхолдеры хотели получить ответы
— Как я перевёл эти вопросы на язык данных и как начал ресерч
— Почему не хватило «классических» методов
— Минимум про матрицы и теорию графов
— Сниппет кода, который поможет самому сделать похожий ресерч
— Как я интерпретировал полученные данные
— Что мы сделали с инсайтами и какой получили эффект в метриках
— Книжки для самообразования
— QnA секцию, из которой вы сможете немного узнать про нюансы работы с данными в Flo + немного обсудили филосовские вопросы 🙂

Исследования на стыке HCI и ML

Анализ научных работ на стыке Human-Computer Interaction и Machine Learning, 2018 год. Источник: Mapping Machine Learning Advances from HCI Research to Reveal Starting Places for Design Innovation

Списочек уж больно совпадает с моим видением того, какие подходы будут чаще использоваться в продуктовой аналитике в ближайшие 5 лет.

User Modeling я давно уже постепенно изучаю и прокачиваю. Про это мало пишут и то только в академическом сообществе. Если вам тоже интересно, то присмотритесь к «соседним» областям с картинки. Почти все они относятся к разработке ML-продуктов, но под капотом используются похожий стек технологий, что и для User Modeling. Поэтому можно начинать прокачивать скилы по имеющейся литературе.

Чтобы ML пошел в массы, надо обучить дизайнеров его возможностям. Авторы приводят интересный аналог: художники и скульпторы перед созданием произведения искусства изучают материалы, их свойства и возможности. Поняв “ML-материал”, дизайнер сможет придумать неочевидные применения и создавать новые продукты. Пока что дизайнеры еще только изучают новое “сырье”.

В статье обозначены точки, в которых технологии (“материал”) уже есть, но устоявшихся UX-практик нет. В этих областях можно ожидать появление новых подходов и инструментов.

​​Попутно с изучение перспективных направлений, были найдены те области, где уже есть удачные примеры продуктов. Авторы выделили четыре вида ценности, которые ML может дать юзерам.

1. Прогнозы и выводы о пользователе
Алгоритмы, которые изучают поведение человека и “подстраивают” продукт под него. Примеры:
а) практически любые продукты, где-то что-то рекомендуют: музыка, фильмы, товары
б) цифровые персональные ассистенты

2. Прогнозы и выводы об окружающей среде
Алгоритмы, которые используют информацию о мире и адаптируют его под человека или группу людей.
Примеры:
а) умный дом / умный город
б) зная медицинские показания пациента и текущий ход операции, ML может помогать хирургу принимать решения.

3. Советы как сделать что-то оптимальным путем
Алгоритм может посоветовать объективно оптимальный путь решения задачи. Пример: навигатор строит маршрут до точки назначения.

4. Автоматизация рутины и новые возможности
ML-продукты позволяют экономить время пользователя упрощая или вообще убирая шаги из сценариев использования. Пример: новостной алгоритм, который фильтрует“воду” в информационном окружении и показывать только суть и новые факты.

Держим эти ценности в голове, когда собираемся придумать новый продукт на основе ML.

Human-Centered AI

Персонализация — горячая тема. В разных “точках” продукта она реализуется по-разному: иногда хватает подставить имя в письме или подтянуть аватарку из Facebook, в других случаях не обойтись без ML.

Я последнее время разбираюсь с персонализацией на основе алгоритмов. Бытует мнение, что AI магическим способом возьмет данные из хранилища и сделает “хорошо” без особых усилий. Конечно, тут есть пару нюансов :)

ML для работы нужны данные. В зависимости от задачи, данные собираются из разных источников. Для рекомендательных систем, важными сигналами служат действия пользователей в продукте.

Пример
Spotify изучает ваши вкусы на основе прослушиваемых песен. Если вы скипните композицию, то система будет подсовывать вам меньше похожих песен.

Поэтому, чтобы делать крутые AI-продукты. нам нужно учиться грамотно собирать “сигналы” с пользователей через UX. Где-то даже видел мысль в стиле:

ML-проблема — это на самом деле UX-проблема

Я нашел два источника по этой теме с упором на практику:

  1. People + AI Guidebook от Google. Охватывает много аспектов от А до Я. Если скачать весь материал как pdf, то получится книжечка на 120 страниц.
  2. Guidelines for Human-AI Interaction от Microsoft Research. Есть много полезного в этой научной работе.

Думал сделать выжимку из этих материалов, но понял, что это надо читать целиком, чтобы разобраться.

P.S.
Список списков ссылок по Human-AI Interaction

Гид по UX-метрикам

Что такое «метрика»?

Это число, которое характеризует какое-либо из свойств наблюдаемого процесса. Процессы в реальной жизни очень сложные и для глубокого понимания обычно используется набор метрик. Они смотрят на процесс с разных углов.

Метрики помогают собирать обратную связь с наблюдаемого явления. На основе обратной связи идет корректировка дальнейших действий. Термин «обратная связь» изначально появился в механике и инженерии. Постепенно он стал использоваться в менеджменте, клиентском сервисе и разработке продуктов.

Вот как описывают фидбек на «общем уровне»

Feedback is as a generic method of controlling a system by using past results to affect future performance. Approaches which keep a system operating within tight parameters, demonstrate negative feedback. That’s not pessimistic or bad feedback, but feedback that prompts the system to maintain control. Negative feedback is actually good feedback because it yields greater efficiency and performance. Positive feedback, by contrast, causes the system to keep going, unchecked. Like a thermostat that registers the room as too warm and cranks up the furnace, it’s generally meant to be avoided.

“Negative feedback is actually good feedback because it yields greater efficiency and performance.” — James Watt, Scottish inventor & mechanical engineer.

Число в вакууме не несет смысла. Для получения пользы от метрики мы должны сравнить ее с другим показателем. Примеры:

  1. сравнивая свои показатели со стандартами (бенчмарками) индустрии, можно понять наше положение на рынке.
  2. отслеживая показатели во времени, можно понять как развивается наша компания относительно «прошлой» себя.

Свойства хорошей метрики

  1. Консистентность (воспроизводимость) результатов (англ. reliability) — если повторить исследование/эксперимент, то мы получим те же числа.
  2. Валидность (англ. validity) — мы уверены, что метрика измеряет именно то, что мы хотим замерить.
  3. Чувствительность (англ. sensitivity) — метрика хорошо реагирует на изменения.

Если метрика не удовлетворяет этим критериям, то мы получаем неверную обратную связь на наши действия от окружающей среды.

Метрики в UX

Измерение в UX — это количественная оценка наблюдений и мнений пользователей. Они помогают снизить неопределённость относительно того, насколько удобно пользоваться продуктом на самом деле.

UX-метрики оценивают качество взаимодействия человека с интерфейсом при выполнении определенной задачи. Понятие «задачи» многогранно, обычно выделяют три уровня. Естественно, границы уровней размыты. Разберем на примере поискового продукта:

  • Макро — найти нужную информацию в поисковике.
  • Мезо — прочитать результаты выдачи, переформулировать вопрос.
  • Микро — ввод запроса, построчное сканирование текста в ответе.

Альтернативная классификация:

  1. микро- и мезо-уровни еще иногда называют юзабилити-метриками.
  2. макро-уровень иногда называют Customer Experience (CX-метрики). Такие метрики можно использовать на уровне всего продукта или бизнеса.

User Experience vs. User Centric

Эти понятия легко спутать. UX-метрики это подмножество User Centric метрик. Но не все User Centric метрики являются UX.

Примеры User Centric показателей, которые не являются UX-метриками:

  1. User-Level LTV — показывает сколько мы заработаем с определенного пользователя безотносительно используемого продукта/услуги.
  2. Количество сессий на человека — показывает активность человека в продукте, но ничего не говорит про «качество» это взаимодействия.
  3. Средняя скорость загрузки страницы на человека — замеряет техническое свойство продукта, но не говорит о том, как пользователь это воспринимает.
  4. NPS — замеряет лояльность потребителей к бизнесу, но не говорит о качестве реализации конкретной задачи или сценария.

Эти метрики также отталкиваются от человека, но абстрагируются от интерфейса и/или задачи, а работают уровне продукта или бизнеса. Это не означает, что UX-специалисты не используют их в работе. Такие метрики являются хорошим мостиком между дизайном, продуктом и бизнесом.

Списки User Centric метрик

Популярные UX-метрики

В конце 80-х начался период компьютеризации бизнеса и многие компании хотели понять, стоит ли вообще в это вкладываться. Тогда и пошел «заказ» от корпораций в университеты и другие исследовательские организации на разработку методологий оценки эффекта он внедрения IT.

Ученые использовали имеющийся аппарат из психологии, социологии, эргономики, экономики и других наук, чтобы придумать индикаторы, которые удовлетворяют «свойствам хорошей метрики» (смотри начало статьи).

Вот что входит в «джентльменский набор»...

System Usability Scale (SUS)

Самый известный и, наверное, старый способ измерения удовлетворения от интерфейса — это опросник System Usability Scale (SUS).

После работы в системе, респондент проходит опрос из 10 вопросов. По определенной формуле считается показатель, который лежит в диапазоне от 1 до 100. Он характеризует сложность интерфейса:

  • 1 — непонятно, от слова «совсем»
  • 100 — «божественный» UX

Количество вопросов — это главная проблема, которая не позволяет собирать SUS с неподготовленной аудитории. Поэтому, в основном, его замеряют на юзабилити-тестированиях. На практике была доказана сила связи между SUS и индексом лояльности к компании.

Single Ease Question (SEQ)

После совершения целевого действия, пользователя можно спросить вот такой вопрос:

seq-high-res.jpg

Доказано, что более легкие задачи делаются быстрее и бОльшее количество человек их заканчивает, т. е. выше конверсия.

Концепция «простоты использования» используется во многих других метриках. Например, за метрикой Customer Effort Score стоит простая идея, что чем проще пользоваться продуктом или услугой тем более лояльными будут клиенты. Но мне удалось найти какие-либо подтверждения на этот счет (хотя мысль логичная).

Также, между одним вопросом про «простоту использования» с огромным SUS есть корреляция 90%. Это еще один «плюсик в карму» для этой метрики.

Достоинство этой метрики в том, что ее можно замерять online, т. к. конверсия в ответ будет высокой. Если в продукте есть четкая воронка, то можно собирать оценки в конце пути.

Usability Metric for User Experience (UMUX)

Эта метрика разработана в качестве альтернативы SUS. Акцент делается на измерении двух свойств продукта: функциональность и простота.

В UMUX четыре вопроса, а в усовершенствованной версии UMUX-Lite их два:

Доказано, что UMUX-Lite может заменять SUS и при этом не терять в точности оценки. Два вопроса проще «уместить» в интерфейс продукта и начать спрашивать online, чем пользуются продуктовые компании.

Пример из жизни: как исследуют пользователей, расставляют приоритеты и снимают метрики в Atlassian.

Customer Satisfaction Score (CSAT)

Удовлетворенность — еще одна концепция в мире User Experience. Это популярная метрика, которую обычно спрашивают после завершения какого-либо сценария. Самый популярный вариант — после обращения в техническую поддержку.

How would you rate your overall satisfaction with the [goods/service] you received?

Но есть примеры, когда CSAT измеряется уровне всего продукта или компании. American Customer Satisfaction Index уже больше 20 лет каждый год опрашивает сотни тысяч американцев на предмет удовлетворенностью продуктами или услугами компаний из разных сфер и индустрий.

Интересно, что между CSAT компании и ее финансовыми показателями имеется хорошая связь. Историю и бенчмарки можно найти на этом сайте.

Single Usability Metric (SUM)

Это 6 показателей, которые по хитрой формуле превращаются в число от 1 до 100. Эти показатели включают в себя:

  1. Метрики на основе поведения респондентов
    • Справился ли респондент с задачей
    • Фактически проведенное время над задачей
    • Количество ошибок
  2. Субъективные метрики-опросы с 5-бальной шкалой для ответа:
    • Воспринимаемое время над задачей
    • Воспринимаемая сложность
    • Удовлетворенность (тот же самый CSAT)

По задумке авторов, эта комбо-метрика предоставить более взвешенный взгляд на пользовательский опыт и упростить принятие решений. Многие агентства и компании ее используют, но открыто не делятся опытом.

К счастью, Microsoft поделилась своим 2.5-летним опытом ее использования. Инсайты:

Шкала от 1 до 100 непонятна стейкхолдерам. Где отсечка, после которой «все хорошо?»

Фактическое и воспринимаемое время над задачей не всегда коррелируют. Люди иногда отвлекаются или просто «тупят», но при этом считают, что с задачей справляются быстро. Время — это шумная метрика.

Количество ошибок на практике заранее неизвестно наперед. Поэтому с точки зрения метрики это просто шум.

Net Promoter Score (NPS)

Очень популярная метрика лояльности потребителя к бренду или услуге. Поэтому остановимся на ней подробнее.

У этой метрики есть «набирающий популярность брат» Actual NPS (aNPS), который пытается устранить одну из ошибок NPS — спрашивать про мнение и будущее.

Но это не самая главная беда этой метрики в контексте измерения UX. Бренд «собирает» под собой не только продукт с его дизайном, но и работу поддержки/отдела продаж и новости о бренде.

Слишком много факторов влияет на NPS.

На практике мы получаем слабую чувствительность к UX-изменениям. Сторонними исследователя установлено, что «вклад» UX в NPS составляет не более 66%.

Но есть ситуации, когда NPS можно использовать как UX-метрику:

  1. Если респондент не знает, продукт какого бренда он тестирует / использует.
  2. Если весь продукт держится только на одной макро-задаче и можно пренебречь влиянием других факторов

Примеры, когда NPS подходит и не подходит как UX-метрика.

  • Порекомендуете ли вы AdBlock друзьям или коллегам?
    • ОК, т. к. основной сценарий в AdBlock — это блокировка рекламы на сайтах. Однозначная ассоциация.
  • Порекомендуете ли вы Wrike друзьям или коллегам?
    • НеОК
      • Wrike это продукт с множеством макро-задач внутри: планирование проектов, управление ресурсами, хранилище документации. Как понять, UX какого сценария дает больший вклад?
      • Wrike используется для управления проектами и людьми. Есть люди, которые просто не любят работать, поэтому будут ставить плохие оценки в NPS даже если продукт будет идеален.
      • Wrike это b2b-компания, в которой «продуктом» является не только сайт, но и поддержка, обучающие материалы и размер скидки, который может дать отдел продаж.
      • Основные покупатели Wrike — топ-менеджеры. Рядовые сотрудники могут просто не иметь знакомых топ-менеджеров, которые ищут систему управления проектами. Некому рекомендовать.
      • Некоторые люди «оставляют работу на работе» и не рекомендуют друзьям рабочие инструменты. А все коллеги и так уже пользуются этой системой.

Некоторые компании пытаются «уточнять» NPS и спрашивать про конкретный опыт в продукте. Но это тогда уже не NPS, а что-то другое. Примеры:

  • С какой вероятностью вы порекомендуете продавать товары на Авито друзьям или коллегам?
  • Порекомендуете ли вы слушать музыку в Spotify друзьям или коллегам?

Другие метрики

Существует еще большое количество UX-метрик. Какие-то требуют покупки лицензий, а какие-то используются в узкоспециализированных областях:

  • Language Quality Survey (LQS) — метрика качества локализации
  • Lostness — метрика качества навигации в продукте
  • SUPR-Q, qxScore, User Experience Questionnaire (UEQ) и AttrakDiff — опроссники, которые продвигают идею единого числа в UX для всего и вся.
  • И еще сотни других метрик...

Фреймворки и подходы

Метрик много, но не всегда понятно какую использовать под вашу задачу. Google в 2010 году опубликовала научную работу по HEART — подход, который помогает выбрать метрику для измерения пользовательского опыта под разными углами. Фреймворк был опробован на 20 проектах внутри Google, а затем пошел “во вне” компании.

HEART комбинирует мнения пользователей через опросы и поведенческие продуктовые метрики

Tomer Sharon, бывший UX Researcher в Google и WeWork и нынешний глава по ресерчу в Goldman Sachs, расписал подробно про каждый “срез” сквозь призму своего опыта и дает примеры метрик:

Как и многое из Google, этот подход стал набирать популярность. Но это не единственное, что придумало человечество.

Главные Концепции

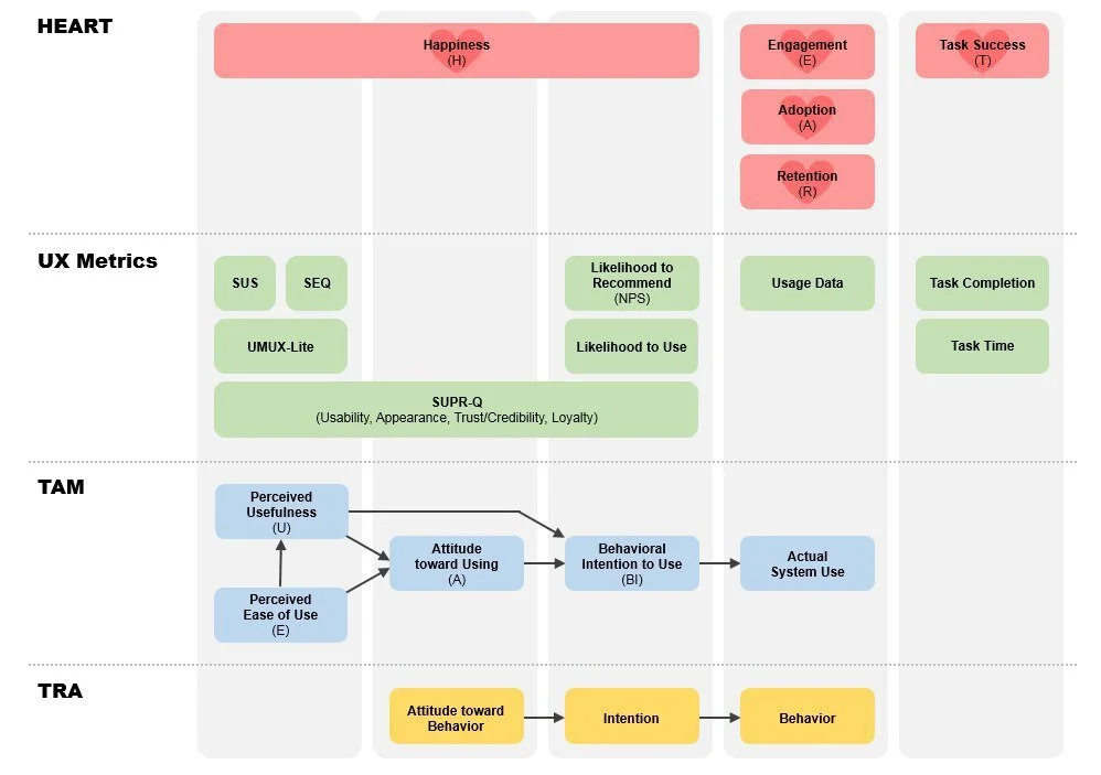
Как можно было заметить, UX-метрики работают с разными абстракциями:

Есть две модели, которые пытаются расположить их в иерархию и понять влияние друг на друга:

  1. American Customer Satisfaction Index (ACSI)
  2. Technology Acceptance Model (TAM)

Вот неполная схема взаимосвязи метрик

Запомнить

  1. Метрика нужна, чтобы собирать обратную связь из внешнего мира и корректировать свои планы. Числа без привязки к контексту никому не интересны.
  2. User Experience — это очень широкая область, поэтому и метрики в нем совершенно разные. Они могут фокусироваться на удобстве микро-взаимодействий пользователя с системой и на долгосрочных целях человека в продукте. Единого термометра не изобрели (хотя многие пытаются). Главное — UX-метрики замеряют восприятие человека.
  3. Сделать достоверную метрику очень сложно. Изучите стандартные способы измерения пользовательского опыта, которые используется повсеместно. Не придумывайте велосипед.
  4. Для систематизации работы используйте HEART-фреймворк от Google. Освоив этот инструмент, пробуйте новый или придумайте свой подход.
  5. Все измерения в UX крутятся вокруг ограниченного набора концепций. Будут придуманы новые метрики, а концепции будут неизменны.

Статья впервые была опубликована в старом блоге по ссылке https://www.martsen.me/blog/quantifying-the-user-experience

Ранее Ctrl + ↓